Ταϊβάν: Εικόνες καταστροφής από τον ισχυρό τυφώνα που έπληξε το νησί
Πριν από την άφιξη της καταιγίδας, κύματα ύψους 5 μέτρων σάρωσαν τις ακτές της Ταϊβάν και τουλάχιστον 27 άνθρωποι τραυματίστηκαν από τις βροχοπτώσεις
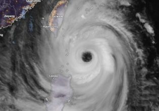
Συγκλονιστικές εικόνες έρχονται από το χτύπημα του ισχυρού τυφώνα Κονγκ-ρέι στην Ταϊβάν.
Ο τυφώνας, ένας από τους σφοδρότερους που έπληξαν το νησί τα τελευταία χρόνια, έφθασε στην ξηρά το μεσημέρι της Πέμπτης (31/10) στο Τσενγκγκόνγκ (νοτιοανατολικά) και προκάλεσε τον θάνατο ενός ανθρώπου, ενώ τουλάχιστον 205 άνθρωποι τραυματίστηκαν, σύμφωνα με τον απολογισμό των αρχών.
Ο Κονγκ-ρέι, που συνοδεύεται από θυελλώδεις ανέμους ταχύτητας 184 χλμ/ώρα και από καταρρακτώδεις βροχές αφίχθη περίπου στις 13.40 τοπική ώρα (07.40 ώρα Ελλάδας) στο νοτιοανατολικό τμήμα της χώρας, που είναι το πιο αραιοκατοικημένο της νήσου αυτής των 23 εκατομμυρίων κατοίκων.
Νεκρή από πτώση δέντρου στην Ταϊβάν
Δέντρα που ξεριζώθηκαν από τους ισχυρούς ανέμους έπεσαν πάνω σε αυτοκίνητα, κλείνοντας δρόμους και δυσχεραίνοντας τις επιχειρήσεις των αρχών, είπε στο Γαλλικό Πρακτορείο μία αξιωματούχος μιας κοινότητας της επαρχίας Χουάλιεν (ανατολικά), της πλέον πληγείσας.
Περισσότερες από 400 εσωτερικές και διεθνείς πτήσεις ακυρώθηκαν
Μια 56χρονη γυναίκα σκοτώθηκε μετά την πτώση δέντρου πάνω στο όχημά της, στην κομητεία Ναντού (κεντρικά), ανακοίνωσε η υπηρεσία αντιμετώπισης πυρκαγιών της χώρας, ενώ άλλοι 205 άνθρωποι τραυματίστηκαν.

O τυφώνας Κονγκ-ρέι είναι ένας από τους σφοδρότερους που έχουν πλήξει την Ταϊβάν τα τελευταία χρόνια
Πριν από την άφιξη της καταιγίδας, κύματα ύψους 5 μέτρων σάρωσαν τις ακτές και τουλάχιστον 27 άνθρωποι τραυματίστηκαν από τις βροχοπτώσεις, κυρίως από κατολισθήσεις, σύμφωνα με την ίδια υπηρεσία.
Τουλάχιστον 34 κατολισθήσεις καταγράφηκαν, 162 κτίρια υπέστησαν ζημιές και 366 δέντρα έπεσαν, αναφέρει η ίδια πηγή.
Περισσότερες από 400 εσωτερικές και διεθνείς πτήσεις ακυρώθηκαν, όλα τα δρομολόγια φέριμποτ ανεστάλησαν και περισσότερα από 250.000 νοικοκυριά βυθίστηκαν στο σκοτάδι.
Το υπουργείο Άμυνας έθεσε σε επιφυλακή 36.000 στρατιώτες για να συνδράμουν τα σωστικά συνεργεία, ενώ σχεδόν 10.000 άνθρωποι απομακρύνθηκαν από περιοχές υψηλού κινδύνου εκ των προτέρων, σύμφωνα με την κυβέρνηση.
Η Ταϊβάν αντιμετωπίζει συχνά τροπικές καταιγίδες, συνήθως από τον Ιούλιο ως τον Οκτώβριο, αλλά «είναι ασυνήθιστο ένας τόσο ισχυρός τυφώνας να πλήττει τη νήσο τόσο αργά μέσα στη χρονιά», επισήμανε ο μετεωρολόγος Τσανγκ Τσουν-γιάο.
Ο Κονγκ-ρέι είναι ο τρίτος τυφώνας που πλήττει την Ταϊβάν από τον Ιούλιο.
- Τα δεδομένα για Φρανσίσκο: Η οψιόν του καλοκαιριού, η… κόντρα με Μασιούλις και το μεγάλο ενδιαφέρον (vids)
- Rising Demand Reshapes Attica’s Commercial Property Market
- Το σκίτσο της ΕΛ.ΑΣ για τα πυροτεχνήματα – «Δεν είναι διασκεδαστικά για όλους»
- Τα «διπλωματικά» Χριστούγεννα του Μητσοτάκη
- Οι κατηγορίες της FA στον Ρομέρο για ανάρμοστη συμπεριφορά στο Τότεναμ – Λίβερπουλ
- Το Υπουργείο Εσωτερικής Ασφάλειας των ΗΠΑ έντυσε τον Άγιο Βασίλη πράκτορα της ICE που κυνηγάει μετανάστες
- Ιουλία Καλλιμάνη: Ο έντονος εκνευρισμός στην πίστα – Της πέταξαν λουλούδια με νερό
- Προσοχή στις αναπάντητες κλήσεις από το εξωτερικό – Πώς λειτουργεί η μέθοδος Wangiri
Ακολουθήστε το in.gr στο Google News και μάθετε πρώτοι όλες τις ειδήσεις






![Άκρως Ζωδιακό: Τα Do’s και Don’ts στα ζώδια σήμερα [Πέμπτη 25.12.2025]](https://www.in.gr/wp-content/uploads/2025/12/evgeni-tcherkasski-bE4C_M7M4xY-unsplash-1-315x220.jpg)













































































Αριθμός Πιστοποίησης Μ.Η.Τ.232442