Πώς γίνεται η ολική αρθροπλαστική ισχίου στον σκύλο – Τα οφέλη της
Οι τρόποι αντιμετώπισης για παθήσεις του ισχίου στον σκύλου, η μέθοδος με τα καλύτερα δυνατά αποτελέσματα για κρίσιμη δυσπλασία ή εκφυλιστική αρθροπάθεια.
Οι σκύλοι που υποφέρουν από παθήσεις του ισχίου είναι ουκ ολίγοι.
Η άρθρωση του ισχίου είναι μία από τις σημαντικότερες αρθρώσεις στο σώμα του σκύλου, όπως αναφέρει ο στρατιωτικός κτηνίατρος, Δημήτριος Κουτσογιώργος, καθώς επιτρέπει την ομαλή κίνηση των οπίσθιων άκρων.
Ωστόσο, διάφορες καταστάσεις, όπως η δυσπλασία του ισχίου και, κατ’ επέκταση, η οστεοαρθρίτιδα που προκαλεί, μπορεί να προκαλέσουν σοβαρή δυσλειτουργία και πόνο, μειώνοντας την ποιότητα ζωής του ζώου.
Τι είναι η δυσπλασία του ισχίου
Όπως εξηγεί ο κ. Κουτσογιώργος, πρόκειται για μια γενετική πάθηση που εμφανίζεται, κυρίως, σε μεγαλόσωμες φυλές. Χαρακτηρίζεται από ανώμαλη ανάπτυξη της άρθρωσης του ισχίου, οδηγώντας σε χαλάρωση, φλεγμονή και, τελικά, εκφυλιστική αρθροπάθεια. Η οστεοαρθρίτιδα προκαλείται από εκφυλιστικές αλλοιώσεις στον χόνδρο της άρθρωσης, οδηγώντας σε χρόνιο πόνο και δυσκαμψία.
Η ολική αρθροπλαστική ισχίου θεωρείται η πλέον προηγμένη και αποτελεσματική χειρουργική λύση για την αποκατάσταση της κινητικότητας των σκύλων με σοβαρή δυσπλασία ή εκφυλιστική αρθροπάθεια

Σκύλος χειρουργείται με τη μέθοδο της ολικής αρθροπλαστικής ισχίου
Σε προχωρημένα στάδια αυτών των παθήσεων, όταν η συντηρητική αγωγή (παυσίπονα, φυσικοθεραπεία, αλλαγές στη διατροφή) δεν επαρκεί, η ολική αρθροπλαστική ισχίου αποτελεί την πιο αποτελεσματική λύση.
Σύμφωνα με τον κ. Κουτσογιώργο, υπάρχουν διάφορες χειρουργικές επιλογές για την αντιμετώπιση των παθήσεων του ισχίου:
1. Εκτομή της κεφαλής και του αυχένα του μηριαίου οστού (FHO – Femoral Head Ostectomy): Αφαίρεση της κεφαλής του μηριαίου οστού, ώστε να δημιουργηθεί μια ινώδης ψευδάρθρωση. Χρησιμοποιείται κυρίως σε μικρόσωμες φυλές.
2. Διπλή ή τριπλή οστεοτομή της πυέλου (DPO/TPO – Double/TriplePelvic Osteotomy): Εφαρμόζεται σε νεαρούς σκύλους με πρώιμη διάγνωση δυσπλασίας για βελτίωση της σταθερότητας της άρθρωσης.
3. Ολική αρθροπλαστική ισχίου (Total Hip Replacement – THR): Αντικατάσταση της άρθρωσης με ενδοπρόθεση, προσφέροντας την καλύτερη δυνατή αποκατάσταση της λειτουργίας.

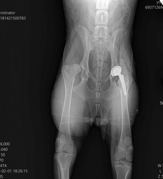
Ακτινογραφία σκύλου πριν από το χειρουργείο

Η ακτινογραφία του μετά το χειρουργείο. Δεξιά φαίνεται η τεχνητή ενδοπρόθεση
Η ολική αρθροπλαστική ισχίου (THR) θεωρείται ως η πλέον προηγμένη και αποτελεσματική χειρουργική λύση για την αποκατάσταση της κινητικότητας των σκύλων με σοβαρή δυσπλασία ή εκφυλιστική αρθροπάθεια.
Κατά την επέμβαση αφαιρείται η πάσχουσα άρθρωση και αντικαθίσταται με τεχνητή ενδοπρόθεση, συνήθως από τιτάνιο.
Τα οφέλη της μεθόδου – Η διάρκεια της αποκατάστασης
Αν ένας σκυλάκος υποβληθεί σε χειρουργείο με τη μέθοδο της ολικής αρθροπλαστικής ισχίου, η ζωή του θα αλλάξει ριζικά. Και οι λόγοι είναι οι εξής, όπως υποστηρίζει ο κ. Κουτσογιώργος.
● Άμεση ανακούφιση από τον πόνο: Η αντικατάσταση της κατεστραμμένης άρθρωσης εξαλείφει τον πόνο.
● Αποκατάσταση της κίνησης: Ο σκύλος ανακτά φυσιολογική κινητικότητα.
● Μακροχρόνια διάρκεια: Οι ενδοπροθέσεις διαρκούν για το υπόλοιπο της ζωής του σκύλου, προσφέροντας σταθερότητα.
Η πλήρης αποκατάσταση διαρκεί 8-12 εβδομάδες, με περιορισμό δραστηριότητας και φυσικοθεραπεία, ενώ οι περισσότεροι σκύλοι επιστρέφουν σε φυσιολογική δραστηριότητα μέσα σε 3-6 μήνες.
Η ολική αρθροπλαστική ισχίου, όπως αναφέρει ο κ. Κουτσογιώργος, αποτελεί την πιο αποτελεσματική λύση για σκύλους με σοβαρά ορθοπεδικά προβλήματα. Αν και πρόκειται για μια πολύπλοκη και δαπανηρή διαδικασία, τα οφέλη για την ποιότητα ζωής του ζώου είναι ανεκτίμητα.
Η εξειδίκευση ορθοπεδικού κτηνιάτρου είναι υψίστης σημασίας
Κλείνοντας, ο κ. Κουτσογιώργος επισημαίνει: «Η έγκαιρη διάγνωση και η συνεργασία με εξειδικευμένο ορθοπεδικό κτηνίατρο είναι καθοριστικής σημασίας για την επιτυχή έκβαση της επέμβασης.
Στην κλινική μας πραγματοποιούμε ολική αρθροπλαστική ισχίου, καθώς έχουμε στο ενεργητικό μας μια ευρεία γκάμα εξειδικευμένων ορθοπεδικών χειρουργείων. Πάντα με τη φροντίδα και την εμπειρία εξειδικευμένων κτηνιάτρων, διασφαλίζοντας την καλύτερη δυνατή αποκατάσταση για κάθε περιστατικό».

● Ο κύριος Δημήτριος Κουτσογιώργος είναι στρατιωτικός κτηνίατρος-εξειδικευμένος ορθοπεδικός χειρουργός DVM, MSc, GPCert SAS/ Orthopedic.
Τελείωσε την Στρατιωτική Κτηνιατρική το 2012 και έκτοτε ασχολείται, κυρίως, με τη χειρουργική μικρών ζώων.
Έχει μεγάλο φιλοζωικό έργο, καθώς μαζί με τη χειρουργική ομάδα του βοηθάει ενεργά με εθελοντικές στειρώσεις αδέσποτων ζώων σε όλη την Ελλάδα από το 2016.
Έχει μετεκπαιδευτεί στο εξωτερικό στην χειρουργική μαλακών μορίων, στην ορθοπεδική χειρουργική & νευροχειρουργική.
Διατηρεί την κλινική του yourVET clinic στα Γλυκά Νερά. Αναλαμβάνει, κυρίως, χειρουργικά περιστατικά δεύτερης γνώμης.
- Οι ισχυροί γύρω από τον Έπσταϊν: Τραμπ, Κλίντον, Μπάνον σε νέες αποκαλυπτικές φωτογραφίες
- Μεντιλίμπαρ: «Δεν είναι ευχάριστο που ο Ελ Κααμπί θα φύγει για το Κύπελλο Εθνών Αφρικής»
- Δήλωναν ανύπαρκτα χωράφια στον ΟΠΕΚΕΠΕ – Σημαίνον στέλεχος της ΝΔ ο φερόμενος αρχηγός του κυκλώματος, Μύρωνας Χιλετζάκης
- Ο Βίμ Βέντερς είναι ο νέος πρόεδρος της κριτικής επιτροπής της Berlinale – «Φωτίζει την αναζήτηση μας για σύνδεση»
- UEFA: Υποβιβάστηκε ο Σιδηρόπουλος από την ελίτ κατηγορία
- Τι οφέλη προσφέρει η ιατρική κάνναβη; Μπορεί και κανένα, δείχνει η βιβλιογραφία
- Χολαργός: Στη φυλακή οι κατηγορούμενοι για την επίθεση κατά του 14χρονου
- Νέα Ιωνία: Χειροπέδες σε οικιακή βοηθό που έκλεβε κοσμήματα από σπίτι ηλικιωμένων
Ακολουθήστε το in.gr στο Google News και μάθετε πρώτοι όλες τις ειδήσεις







![Άκρως Ζωδιακό: Τα Do’s και Don’ts στα ζώδια σήμερα [Παρασκευή 12.12.2025]](https://www.in.gr/wp-content/uploads/2025/12/jake-kokot-PbDLAy38QZM-unsplash-315x220.jpg)













































































Αριθμός Πιστοποίησης Μ.Η.Τ.232442