Συνεχίζεται η επέλαση του τυφώνα Μελίσα αφήνοντας πίσω καταστροφές – Αναμένονται μεγάλα ύψη βροχής
Προς την Κούβα και τις Μπαχάμες κατευθύνεται ο τυφώνας Μελίσα, έχοντας προκαλέσει καταστροφές στη Τζαμάικα
Ο τυφώνας «Μελίσα» εντάθηκε νωρίς την Τετάρτη καθώς οδεύει προς την Κούβα, έχοντας αφήσει πίσω μια ζώνη καταστροφής στην Τζαμάικα, όπου οι περισσότεροι άνθρωποι έμειναν χωρίς πρόσβαση στο διαδίκτυο και τα μεγάλα αεροδρόμια παρέμειναν κλειστά.
Ο «Μελίσα» έπληξε την Τζαμάικα την Τρίτη ως ένας από τους ισχυρότερους τυφώνες κατηγορίας 5 που έχουν καταγραφεί, με ανέμους που σε κάποιο σημείο έφτασαν τα 185 μίλια ανά ώρα. Προκάλεσε διακοπή των επικοινωνιών και της ηλεκτροδότησης σε μεγάλες περιοχές του νησιού, καθιστώντας δύσκολη για τις αρχές την αξιόπιστη εκτίμηση των ζημιών.
Φωτογραφίες και βίντεο που δημοσιεύτηκαν στα μέσα κοινωνικής δικτύωσης έδειχναν κατεστραμμένα αυτοκίνητα και συντρίμμια από στέγες που είχαν υποστεί ζημιές από τον τυφώνα.
Σοβαρές ζημιές στη Τζαμάικα από τον τυφώνα «Μελίσα»
Τα ανατολικά τμήματα του νησιού, συμπεριλαμβανομένης της πρωτεύουσας Κίνγκστον, δεν υπέστησαν σημαντικές ζημιές από τους ισχυρούς ανέμους και τις έντονες βροχοπτώσεις του τυφώνα, σύμφωνα με τον υπουργό Ενέργειας και Μεταφορών Ντάριλ Βαζ.
Μετά την επέλαση του τυφώνα «Μελίσα», η σύνδεση στο διαδίκτυο στην Τζαμάικα είχε μειωθεί στο 30% των κανονικών επιπέδων μέχρι αργά το βράδυ της Τρίτης, σύμφωνα με την NetBlocks, μια οργάνωση παρακολούθησης του διαδικτύου.
Ο πρόεδρος Τραμπ δήλωσε ότι οι Ηνωμένες Πολιτείες είναι έτοιμες να βοηθήσουν την Τζαμάικα, μετά το πέρασμα του τυφώνα. «Από ανθρωπιστική άποψη, πρέπει να το κάνουμε, οπότε παρακολουθούμε στενά την κατάσταση και είμαστε έτοιμοι να δράσουμε. Προκαλεί τεράστιες ζημιές αυτή τη στιγμή», δήλωσε ο Τραμπ.

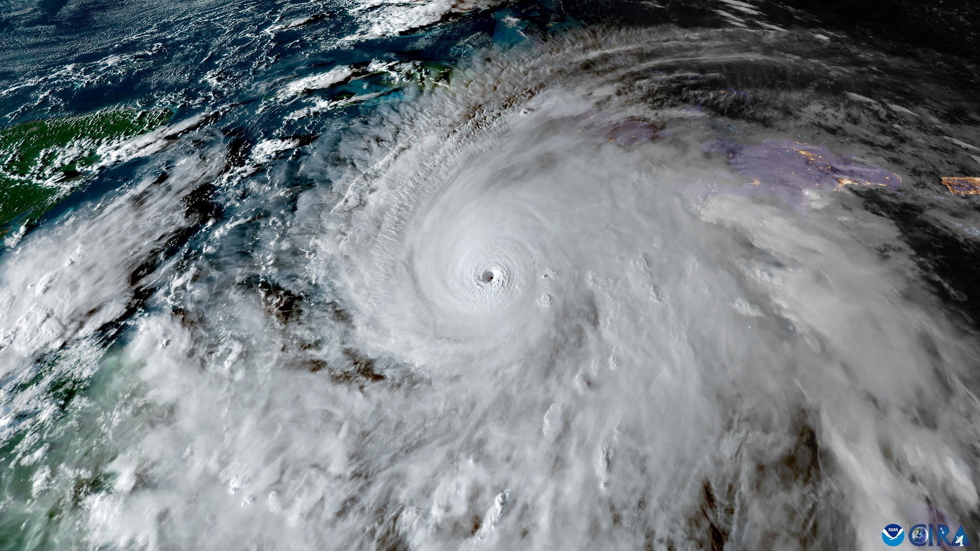
Ο τυφώνας πλησιάζει την Κούβα. REUTERS/Norlys Perez
L’ouragan Melissa touche désormais Cuba, après avoir frappé la Jamaïque et avoir été rétrogradé en catégorie 3.
Plusieurs provinces sont en état d’alerte pic.twitter.com/SisieOwtSr
— FRANCE 24 Français (@France24_fr) October 29, 2025
Ο πρόεδρος της Κούβας Μιγκέλ Ντίας-Κανέλ δήλωσε την Τρίτη το βράδυ ότι περισσότεροι από 735.000 άνθρωποι είχαν εκκενώσει τα σπίτια τους πριν από την άφιξη του τυφώνα, σύμφωνα με τους New York Times.
Υψηλά ποσοστά βροχής
Σύμφωνα με τις προβλέψεις, η ανατολική Κούβα ενδέχεται να δεχτεί 250-500 χιλιοστά βροχής μέχρι την Τετάρτη, με 630 χιλιοστά να αναμένονται στις ορεινές περιοχές, προειδοποιώντας για πιθανές καταστροφικές πλημμύρες. «Θα είναι μια πολύ δύσκολη νύχτα για όλη την Κούβα, αλλά θα ανακάμψουμε», δήλωσε ο Ντίας-Κανέλ στα μέσα κοινωνικής δικτύωσης.
Ο «Μελίσα» έχει προκαλέσει σημαντικές βροχοπτώσεις σε ολόκληρη την Καραϊβική τις τελευταίες ημέρες, με περισσότερες να αναμένονται. Στην Τζαμάικα, οι μετεωρολόγοι προβλέπουν έως και 30 εκατοστά επιπλέον βροχής σε ορισμένες περιοχές, πέραν της βροχής που έχει ήδη πέσει. Καθώς η καταιγίδα κινείται πάνω από τις Μπαχάμες, είναι πιθανό να φέρει 12 έως 25 εκατοστά βροχής.

Καταφύγιο βρίσκουν σε σχολείο κάτοικοι της Αϊτής. REUTERS/Patrice Noel
Σε ορισμένες περιοχές κατά μήκος των νότιων ακτών της Αϊτής και της Δομινικανής Δημοκρατίας, η βροχόπτωση μπορεί να ξεπεράσει το ένα μέτρο μέχρι να απομακρυνθεί η καταιγίδα από την περιοχή, σύμφωνα με το Εθνικό Κέντρο Τυφώνων.
Όπως αναφέρει το CNN, το Τέξας έχει μήκος περίπου 1.239 χιλιόμετρα από δυτικά προς ανατολικά, σχεδόν, δηλαδή, το ίδιο πλάτος με τον τυφώνα, αν ληφθούν υπόψη συγκεκριμένες παράμετροι για την έκτασή του.
Αυτό σημαίνει ότι ακόμη και περιοχές που βρίσκονται μακριά από το κέντρο της Μελίσα νιώθουν ισχυρούς, καταστροφικούς ανέμους και επικίνδυνα κύματα.
Εκκενώσεις και στις Μπαχάμες
Ο τυφώνας «Μελίσα» κατευθύνεται προς τις κεντρικές και νοτιοανατολικές Μπαχάμες, με τις συνθήκες να αναμένεται να επιδεινωθούν γρήγορα μέχρι την Τετάρτη, σύμφωνα με την Αρχή Διαχείρισης Κινδύνων Καταστροφών της χώρας.
Έχουν εκδοθεί εντολές εκκένωσης για έξι νησιά στις Μπαχάμες, συμπεριλαμβανομένων των Άκλινς και το νησί Κρούκντ, καθώς οι αρχές προετοιμάζονται για πλημμύρες και ισχυρή καταιγίδα, σύμφωνα με την ανακοίνωση. Έχει εκδοθεί προειδοποίηση για τυφώνα για τις νοτιοανατολικές και κεντρικές Μπαχάμες, υποστηρίζει το CNN.

Ο τυφώνας. CSU/CIRA & NOAA/Handout via REUTERS
After making landfall in Jamaica as its strongest-ever storm, Hurricane Melissa is moving towards Cuba with the force of a Category 4 storm on Tuesday, with at least seven persons dead across the Caribbean. WATCH ?https://t.co/fuXGJwvH9e pic.twitter.com/EjTBGlALYc
— Hindustan Times (@htTweets) October 29, 2025
«Ο χρόνος για προετοιμασία έχει πλέον τελειώσει», δήλωσε ο υπουργός Λίον Λάντι σε συνέντευξη Τύπου την Τρίτη.
Ο Λάντι προέτρεψε τους κατοίκους που βρίσκονται ακόμη στη διαδρομή της καταιγίδας να αναζητήσουν αμέσως ασφαλές καταφύγιο.
Βοήθεια απέστειλε η Κίνα
Ο πρέσβης της Κίνας στην Κούβα μοιράστηκε ένα βίντεο στα μέσα κοινωνικής δικτύωσης που δείχνει εκατοντάδες κουτιά με την ένδειξη «οικογενειακό κιτ» να μεταφέρονται από μια αποθήκη.

Καταστροφές στη Τζαμάικα. REUTERS/Octavio Jones
«Τα οικογενειακά κιτ που δωρίστηκαν από την Κίνα μεταφέρονται τώρα από την Αβάνα για να βοηθήσουν τις ανατολικές επαρχίες να ανταποκριθούν στον τυφώνα Μελίσα», έγραψε ο Χουά Σιν.
¡Los primeros recursos de rescate!
Los kits de familia donados por China se envían ahora desde La Habana para apoyar a las provincias orientales en la respuesta al huracán Melissa. pic.twitter.com/VsNnMqdZA8
— Hua Xin 华昕 (@EmbHuaXin) October 28, 2025
- Γιώργος Τσαγκαράκης: Σήμερα η απολογία του γκαλερίστα – «Πουλούσε έργο του Φασιανού που ήταν καταφανώς πλαστό»
- Ο Κάρλικ Τζόουνς αποτελεί προτεραιότητα για την Παρτιζάν
- Υποκλοπές: μια υπόθεση που γράφει παντού κυβέρνηση και Γρηγόρης Δημητριάδης με δικαστική βούλα
- Η σκανδαλώδης υπόθεση που μπορεί να κρύβεται πίσω από τη συνεργασία της Zara με τον John Galliano
- Ατύχημα στον δρόμο; Πώς να πάρεις τον έλεγχο στα χέρια σου, χωρίς τηλέφωνα και αναμονές
- Κωνσταντίνος Αργυρός: Έκρηξη στο νυχτερινό κέντρο που θα εμφανιστεί στη Λευκωσία
- Κομβικό παιχνίδι στη Βαλένθια για το πλεονέκτημα ο Ολυμπιακός, «τελικός» με την Ντουμπάι για τον Παναθηναϊκό
- Πυρκαγιά στη Λιοσίων: Διακοπή σιδηροδρομικής κυκλοφορίας στο τμήμα Αθήνα – Άγιοι Ανάργυροι
Ακολουθήστε το in.gr στο Google News και μάθετε πρώτοι όλες τις ειδήσεις






![Άκρως Ζωδιακό: Τα Do’s και Don’ts στα ζώδια σήμερα [Τρίτη 24.03.2026]](https://www.in.gr/wp-content/uploads/2026/03/agustin-fernandez-6U97YfljDK4-unsplash-315x220.jpg)








































































Αριθμός Πιστοποίησης Μ.Η.Τ.232442