Κύμα αεροπορικών βομβαρδισμών σε Γάζα και Ράφα
Παράλληλα υπάρχει έντονη δραστηριότητα στον ουρανό της πόλης, με ισραηλινά drone να αιωρούνται σε αυτόν - Άλλη μια νύχτα τρόμου στην ισοπεδωμένη Γάζα
Παράλληλα υπάρχει έντονη δραστηριότητα στον ουρανό της πόλης, με ισραηλινά drone να αιωρούνται σε αυτόν - Άλλη μια νύχτα τρόμου στην ισοπεδωμένη Γάζα

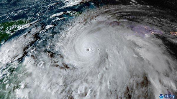
Ο κυκλώνας Μελίσα αναμένεται να προκαλέσει «καταστροφικές ζημιές» στην Τζαμάικα

Νέα εντολή Νετανιάχου για σφοδρή επίθεση στη Λωρίδα της Γάζας, μετά από συνάντηση για την αντίδραση του Ισραήλ στις «επανειλημμένες παραβιάσεις της κατάπαυσης του πυρός εκ μέρους της Χαμάς»

Καθώς το αμερικανικό αεροπλανοφόρο USS Gerald R Ford πλησιάζει τις ακτές της Βενεζουέλας, ο πρόεδρος Νικολά Μαδούρο κατηγόρησε την κυβέρνηση Τραμπ ότι «επινοεί έναν νέο αιώνιο πόλεμο» εναντίον του

Η ΕΕ συνεχίζει την προσπάθειά της να πείσει τα κράτη-μέλη ότι η μόνο οδός για την χρηματοδότηση της Ουκρανίας είναι η χρήση των δεσμευμένων ρωσικών περιουσιακών στοιχείων
Έκτακτη σύσκεψη υπό τον Μπενιαμίν Νετανιάχου - Ακροδεξιοί υπουργοί του Ισραήλ ζητούν και πάλι την «καταστροφή» της Χαμάς και τον καλούν να πάρει απόφαση για την επιστροφή στον πόλεμο
Ο Έλον Μασκ έθεσε σε λειτουργία τη Grokipedia, μία πλατφόρμα που θέλει να αντικαταστήσει την Wikipedia
Ο κυκλώνας Μελίσα, η πιο ισχυρή καταιγίδα στον κόσμο για φέτος πλησιάζει την Τζαμάικα ενώ κινείται βορειοανατολικά μέσω της Καραϊβικής Θάλασσας.
Τη ζωή τους έχασαν οι 11 επιβαίνοντες αεροσκάφους που συνετρίβη στην Κένυα
Οι μυστικές υπηρεσίες στη Ρωσία υποστηρίζουν ότι η Γαλλία σκοπεύει να στείλει 2.000 στρατιώτες στην Ουκρανία - Τι είπε ο Πεσκόφ
Σε δηλώσεις του σε δημοσιογράφους που δημοσιεύονται σήμερα, ο Βολοντίμιρ Ζελένσκι λέει ότι οι συνομιλίες μπορούν να γίνουν οπουδήποτε εκτός Ρωσίας και Λευκορωσίας
Νέες αποκαλύψεις για τον πρώην πρίγκιπα Άντριου που υποδεχόταν με πάρτι τους διαβόητους φίλους του στην πολυτελή κατοικία που του είχε παραχωρηθεί σχεδόν δωρεάν
Στο Περού σχόλια έχει προκαλέσει η επιλογή μίας βουλεύτριας να βάλει βοηθό της να της περιποιηθεί τα νύχια, όσο βρισκόταν στο Κογκρέσο
Ο σεισμός 6,1 Ρίχτερ με μικρό εστιακό βάθος στην περιοχή Σιντίργκι στην Τουρκία προκάλεσε πανικό στους κατοίκους - Ήταν η δεύτερη ισχυρή δόνηση μέσα σε 2,5 μήνες
Παρά την εκεχειρία στη Γάζα, το Ισραήλ συνεχίζει να πραγματοποιεί φονικές επιθέσεις - Οι IDF πραγματοποίησαν ολονύχτιες επιδρομές σε περιοχές της Δυτικής Όχθης
Στην Ιαπωνία βρίσκεται ο Ντόναλντ Τραμπ, όπου συναντήθηκε με τη νέα πρωθυπουργό της χώρας, Σανάε Τακαΐτσι
Ο κυκλώνας Μελίσα είναι κατηγορίας 5, συνοδεύεται από ανέμους 280 χιλιομέτρων ανά ώρα - Είναι ο ισχυρότερος στον κόσμο για φέτος
Πολυετής είναι η αναμονή των υποψηφίων κρατών για την ένταξη στην ΕΕ, με το εγχείρημα να αποδεικνύεται ιδιαίτερα περίπλοκο
Αυτά τα σκυλιά είναι απόγονοι κατοικίδιων ζώων που εγκαταλείφθηκαν όταν οι κάτοικοι εκκενώθηκαν μετά την πυρηνική καταστροφή του Τσερνόμπιλ το 1986
Τη ζωή τους έχασαν δύο άνθρωποι στην Αυστραλία μετά από έκρηξη σε ορυχείο
Τα κτήρια που κατέρρευσαν στον σημερινό σεισμό είχαν χαρακτηριστεί ακατάλληλα και είχαν σφραγιστεί μετά τον πρώτο σεισμό της 10ης Αυγούστου.
Η εκπρόσωπος του Λευκού Οίκου ενημέρωσε τους δημοσιογράφους ότι η πρωθυπουργός της Ιαπωνίας θα προτείνει τον Ντόναλντ Τραμπ για Νόμπελ Ειρήνης.
Ο 45χρονος Τετσούγια Γιαμαγκάμι, η δίκη του οποίου αρχίζει σήμερα, είναι ο κατηγορούμενος για τη δολοφονία του πρώην πρωθυπουργού της Ιαπωνίας Σίνζο Αμπε.
Τραγωδία γράφτηκε στη Βολιβία με λεωφορείο που έπεσε σε γκρεμό 300 μέτρων παρασύροντας στον θάνατο τουλάχιστον 16 από τους επιβαίνοντας σε αυτό.
Θερμή χειραψία και φιλοφρονήσεις αντάλλαξαν Τραμπ και Τακαΐτσι κατά τη συνάντησή τους στην είσοδο του παλατιού Ακάσακα, στην Ιαπωνία.
Διαχειριστής - Διευθυντής: Λευτέρης Θ. Χαραλαμπόπουλος
Διευθύντρια Σύνταξης: Αργυρώ Τσατσούλη
Ιδιοκτησία - Δικαιούχος domain name: ALTER EGO MEDIA A.E.
Νόμιμος Εκπρόσωπος: Ιωάννης Βρέντζος
Έδρα - Γραφεία: Λεωφόρος Συγγρού αρ 340, Καλλιθέα, ΤΚ 17673
ΑΦΜ: 800745939, ΔΟΥ: ΚΕΦΟΔΕ ΑΤΤΙΚΗΣ
Ηλεκτρονική διεύθυνση Επικοινωνίας: in@alteregomedia.org, Τηλ. Επικοινωνίας: 2107547007
Αριθμός Πιστοποίησης Μ.Η.Τ.232442